Flur III

Flur III umfasst die nördlichen und nordwestlichen Bereiche der Kettiger Gemarkung. Hier treffen alte Obststücke, Hanglagen und traditionelle Wege aufeinander. Die Flurnamen dieser Gegend – vom Frammerich über den Steinwetzer bis ins Burgenthal – spiegeln eine Landschaft wider, die seit Jahrhunderten landwirtschaftlich genutzt und zugleich von markanten Geländestrukturen geprägt ist.

Flur III – Blatt 1

Vorn auf dem Frammerich.

Flur III – (Blatt 1): Bedeutungen der Flurnamen

 

Vorn auf dem Frammerich

Dieser Name enthält zwei typische Elemente:

„Vorn“

In Flurnamen bedeutet „vorn“ fast immer:

  • dorfnahe Seite,
  • der dem Betrachter zugewandte Teil einer größeren Fläche.

„Frammerich“

Der Name ist typisch rheinisch und taucht in ähnlicher Form auch in anderen Gemeinden auf.
Er geht wahrscheinlich zurück auf:

  • eine alte Bezeichnung für Hang- oder Hügelgelände,
  • oder auf einen Personen- oder Hofnamen, der später auf die Landschaft überging.

Wahrscheinlich:
„Vorn auf dem Frammerich“ bezeichnet den vorderen, dem Dorf zugewandten Teil eines Hang- oder Hügelbereichs, der als Frammerich bekannt war.
Solche Namen markieren oft die ersten Parzellen eines größeren Geländestreifens.

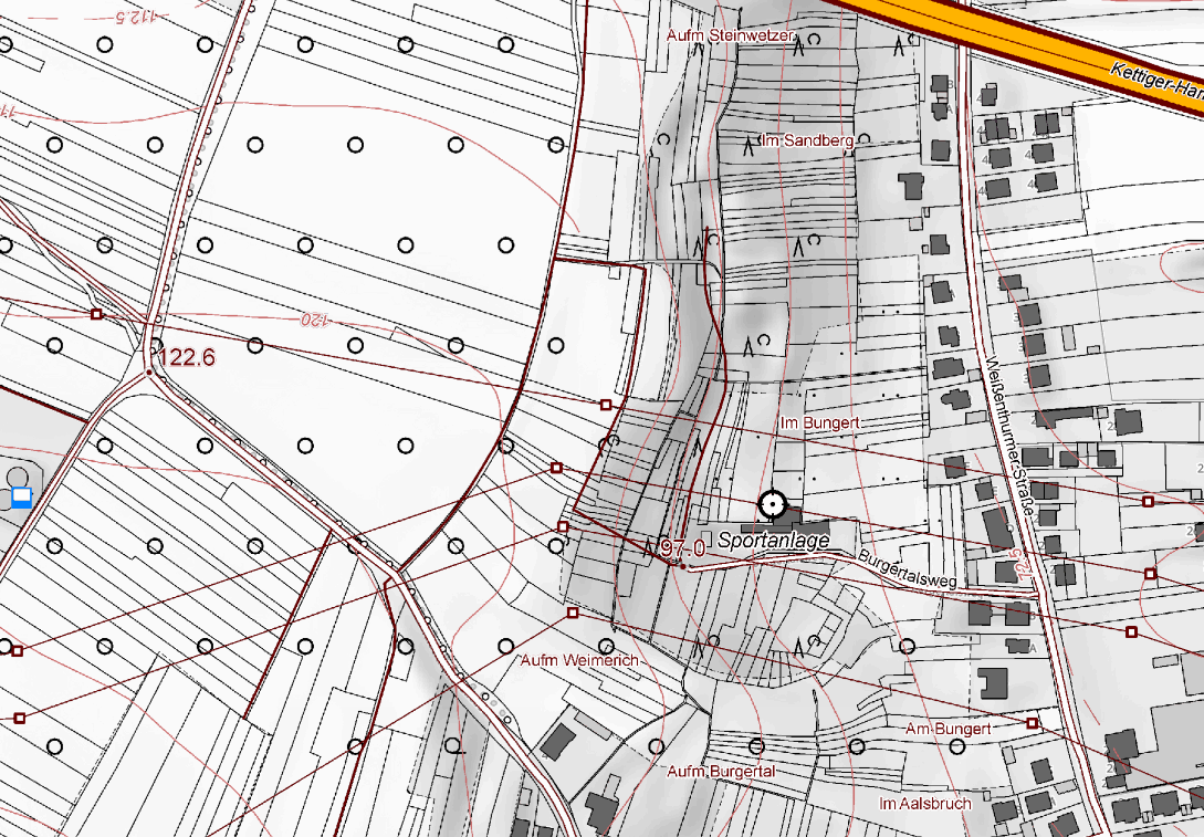
Flur III – Blatt 2

Auf’m Steinwetzer.
Im Bungert.
Im Sandberg.
Vorn auf dem Frammerich.

Flur III – (Blatt 2): Bedeutungen der Flurnamen

 

Auf’m Steinwetzer

„Steinwetzer / Steinvetzer“ ist ein alter rheinischer Geländename.
Er verweist meist auf:

  • steinigen Boden,
  • felsige Stellen,
  • oder eine Erhebung mit hartem Untergrund.

Wahrscheinlich:
Ein steiniger Hang- oder Ackerbereich innerhalb von Flur III, geprägt durch felsigen Untergrund oder Geröll.

 

Im Bungert

Ein sehr klarer Begriff:

  • „Bungert“ bedeutet im Rheinland Obstgarten, meist mit Apfel-, Birn- oder Kirschbäumen.
  • Oft gemeinschaftlich genutzt oder als Streuobstwiese angelegt.

Wahrscheinlich:
Ein alter Obstgarten oder eine Streuobstwiese, die über Generationen genutzt wurde.

 

Im Sandberg

Ein klassischer topografischer Name:

  • „Sandberg“ → ein sandiger Hügel, eine leichte Erhebung mit sandigem Boden.
  • Solche Böden sind trocken, warm und früher oft für bestimmte Kulturen genutzt worden.

Wahrscheinlich:
Ein sandiger Hang oder Hügel, der sich deutlich von den schwereren Böden der Umgebung abhob.

 

Vorn auf dem Frammerich

Dieser Name kam bereits in Blatt 1 vor, hier wiederholt er sich.

  • „Vorn“ → dorfnahe Seite
  • „Frammerich“ → vermutlich ein alter Hang- oder Geländename, evtl. aus einem Personen- oder Hofnamen entstanden.

Wahrscheinlich:
Der vordere, dem Dorf zugewandte Teil des Frammerich-Hangs.

Flur III – Blatt 3

Auf’m Weimerich.
Im Burgenthal.
Im Aalsbruch.
Im Bungert.
Hinter der Kirche.

 

Flur III – (Blatt 3): Bedeutungen der Flurnamen

 

Auf’m Weimerich

Der Name ist typisch rheinisch und ähnelt Formen wie Weimerich, Weimerichsberg oder Weimersheck.
Mögliche Herleitungen:

  • von einem Personen- oder Hofnamen (Weimer, Weimar, Weimerich)
  • oder von einem alten Wortstamm für Weide- oder Wiesenland

Wahrscheinlich:
Ein Hang- oder Wiesenbereich, der nach einem früheren Besitzer oder nach einer charakteristischen Nutzung benannt wurde.

 

Im Burgenthal

Ein sehr klarer, topografischer Name:

  • Burg → kann auf eine alte Befestigung, einen markanten Felsvorsprung oder eine erhöhte Stelle hinweisen
  • -thal / -tal → Tal, Senke, eingeschnittene Geländemulde

Wahrscheinlich:
Ein kleines Tal oder eine Senke, die unterhalb einer markanten Erhebung lag, die im Volksmund „Burg“ genannt wurde — oft ohne echte Burg, sondern als landschaftlicher Begriff.

 

Im Aalsbruch

„Bruch“ ist ein klassischer Flurname für:

  • sumpfiges Gelände,
  • feuchte Senken,
  • ehemalige Überschwemmungsflächen.

„Aal-“ kann sich beziehen auf:

  • Aale → Hinweis auf frühere Wasserläufe oder Teiche
  • oder auf eine mundartliche Form von „Ahl“ (alt), was aber seltener ist.

Wahrscheinlich:
Ein feuchtes, sumpfiges Gelände, möglicherweise ein früherer Wasserlauf oder ein Gebiet, in dem Aale vorkamen — typisch für alte Bruchlandschaften.

 

Im Bungert

Dieser Name wiederholt sich aus Blatt 2.

  • „Bungert“ bedeutet Obstgarten, meist mit Apfel- oder Birnbäumen.
  • Oft gemeinschaftlich oder als Streuobstwiese genutzt.

Wahrscheinlich:
Ein alter Obstgarten oder eine Streuobstwiese, die über Generationen bestand.

 

Hinter der Kirche

Ein reiner Lageflurname.

  • „Hinter“ → vom Dorfmittelpunkt aus gesehen
  • „Kirche“ → die Kettiger Kirche als Orientierungspunkt

Wahrscheinlich:
Flächen hinter der Kirche, also auf der rückwärtigen Seite des Kirchhügels oder Kirchwegs — oft ältere, dorfnahe Parzellen.